European Case Law Identifier: ECLI:AT:OGH0002:2020:0040OB00177.19M.0811.000
Spruch:
Der Revision wird teilweise Folge gegeben.
Die Entscheidungen der Vorinstanzen werden teilweise dahin abgeändert, dass sie einschließlich der bestätigten und der unangefochten in Rechtskraft erwachsenen Teile insgesamt wie folgt lauten:
„1. Die beklagten Parteien sind schuldig, den klagenden Parteien als jeweilige Hälfteeigentümer und ihren Rechtsnachfolgern im Eigentum des herrschenden Grundstücks 167/1 in EZ ***** KG ***** als Eigentümer der nachstehenden dienenden Grundstücke die Dienstbarkeit des unentgeltlichen und zeitlich nicht begrenzten Geh- und Fahrrechts mit Fahrzeugen aller Art in einer Breite bis zu jener von Baufahrzeugen über den laut der dem Urteil angeschlossenen Planskizze (Beilage ./C) westlich und südlich um das '*****' führenden, Weg auf der Parzelle 163/1 in EZ ***** KG ***** wie in der genannten Planskizze schraffiert dargestellt und in der Folge auf dem 5 m breiten Weg auf dem Grundstück 167/5 (Weg) in EZ ***** KG ***** einzuräumen und in die grundbücherliche Einverleibung dieser Dienstbarkeit mit entsprechender Ersichtlichmachung im A2‑Blatt des herrschenden Gutes einzuwilligen.
Das Mehrbegehren, die beklagten Parteien seien schuldig, den klagenden Parteien diese Dienstbarkeit über den Weg auf der Parzelle 163/1 in EZ ***** KG ***** in einer größeren als das Befahren mit Baufahrzeugen ermöglichenden Breite oder von zumindest 4,5 m einzuräumen und insofern in die Einverleibung einzuwilligen, wird abgewiesen.
2. Das Klagebegehren, die beklagten Parteien seien schuldig, den klagenden Parteien als jeweilige Hälfteeigentümer und ihren Rechtsnachfolgern im Eigentum des herrschenden Grundstücks 167/1 in EZ ***** KG ***** unentgeltlich in die zeitlich unbefristete Grunddienstbarkeit der Verlegung, Benützung und Instandhaltung von Ver- und Entsorgungsleitungen aller Art (Kanal, Wasser, Strom, Telekommunikation, Gas etc) über die dienenden Grundstücke a) 163/1 in EZ ***** und 167/5 in EZ *****, jeweils KG *****, in eventu b) 165/2 in EZ ***** und 167/5 in EZ *****, jeweils KG *****, einzuwilligen, wird abgewiesen.“
Die Kostenaussprüche der Vorinstanzen werden aufgehoben. Dem Berufungsgericht wird die Fällung einer neuen Entscheidung über die Kosten des Verfahrens erster und zweiter Instanz aufgetragen.
Die beklagten Parteien sind schuldig, den klagenden Parteien die mit 1.613,07 EUR (darin 89,97 EUR USt und 1.073,25 EUR Pauschalgebühren) bestimmten Kosten des Revisionsverfahrens binnen 14 Tagen zu ersetzen.
Entscheidungsgründe:
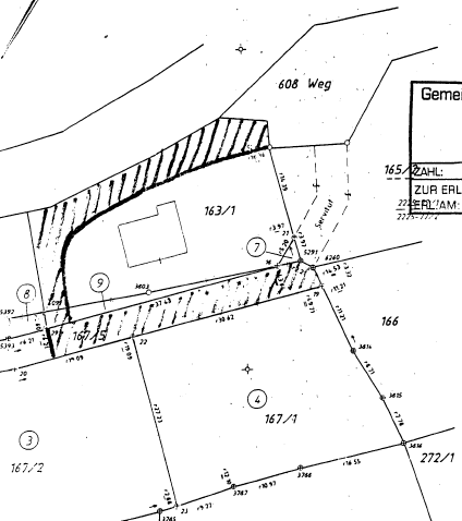
Die Planskizze Beilage ./C hat folgendes Aussehen (oben = Westen, rechts = Norden; Grundbuchsbezeichnungen beziehen sich hier und in der Folge immer auf die KG *****):
Die Kläger sind seit 2010 Eigentümer des auf einem nach Westen ausgerichteten Hang liegenden, von ihren Eltern zehn Jahre zuvor erworbenen, 900 m² großen und unbebauten Grundstücks 167/1, das keinen direkten Zugang zu öffentlichem Gut (Grundstück 608) oder zur (direkt westlich an das Grundstück 163/1 angrenzenden) Landesstraße hat. Zwischen ihrem Grundstück und den davon westlich hangabwärts liegenden öffentlichen Wegen befinden sich Grundstücke, die teils den Beklagten jeweils zur Hälfte (167/5, 165/2) und teils dem Zweitbeklagten allein (163/1) gehören.
Im Zuge der Teilung eines etwa 4.000 m² großen Grundstücks, aus der auch das Grundstück der Kläger 167/1 hervorging, räumten die Beklagten unter anderem zugunsten von einzelnen neu entstandenen und damals in Wohngebiet umgewidmeten Grundstücken (nicht jedoch zugunsten des klägerischen Grundstücks) eine 1994 auch verbücherte Wegeservitut zum Anschluss an das öffentliche Gut ein; diese Servitut führte aus nordwestlicher Richtung vom öffentlichen Gut Grundstück 608 kommend über ein anderes den Beklagten gehörendes Hanggrundstück 165/2 und weiter über das Grundstück 167/5 (in Beilage ./C mit „Servitut“ bezeichnet). In der Natur besteht dieser Weg nicht.
Über die Grundstücke 163/1 (erworben vom Zweitbeklagten 1997) und 167/5 (erworben von beiden Beklagten 1993) führt in der Natur ein auf 163/1 mangels ausreichender Breite nicht für die Benützung mit Baufahrzeugen geeigneter Weg, der auf 167/5 in nördlicher Richtungauch am westlichen Rand des Grundstücks der Kläger entlang führt, aber auch der Erschließung anderer, in südlicher Richtung entlang 167/5 gelegener Nachbargrundstücke dient, die den Beklagten selbst oder Mitgliedern ihrer Familie gehörten (insb 167/2 in EZ *****, 167/3 in EZ *****, 167/4 in EZ *****, 162 in EZ *****).
Die Gemeinde ***** errichtete – vom öffentlichen Gut Grundstück 608ausgehend – in den bestehenden Weg über das Grundstück 163/1 zum Grundstück 167/5 Wasserleitungen und Abwasserkanäle.
Im Jänner 1999 sagten beide Beklagten der Gemeinde ***** schriftlich zu (Beilage ./B = ./9), dass sie der Gemeinde bzw von ihr namhaft gemachten Käufern auch für das Grundstück der Kläger 167/1 das uneingeschränkte Geh- und Fahrrecht über die westlich vom klägerischen Grundstück zwischen diesem und der öffentlichen Straße hangabwärts liegenden Grundstücke 163/1 und 167/5, auf denen in der Natur bereits der eingangs beschriebene Weg bestand, unentgeltlich und bei Vorlage der entsprechenden Dokumente grundbücherlich sichergestellt einräumen würden; diese Zusage erging ausdrücklich für den Fall der Umwidmung von Freiland in Wohngebiet des klägerischen Grundstücks 167/1 und des daneben liegenden Grundstücks [richtig:] 167/2 ebenfalls ohne Verbindung zu öffentlichem Gut (das vorerst von der Mutter der Erstbeklagten gekauft und später von dieser erworben wurde). Die Rechteeinräumung bezog sich hinsichtlich Grundstück 163/1 auf den in der Natur bestehenden Zufahrtsweg bis anstoßend an die Grenzlinie zu Grundstück 167/5 und hinsichtlich dieser Wegparzelle auf die für die Zufahrt zum betreffenden Grundstück, wobei die Zusage ausdrücklich auf die strichlierte Fläche laut Beilage ./C (= Beilage ./9 verso) hinwies.
In der Folge fanden die angekündigten Umwidmungen in Bauland/Wohngebiet statt und wurden von der Aufsichtsbehörde genehmigt (Beilage ./10), ohne dass in diesem Bescheid auf die Frage der Leitungs- oder Kanalanbindung der Grundstücke 167/1 und 167/2 eingegangen worden wäre; die Gemeinde machte dem verschuldeten Verkäufer der geteilten Grundstücke gegenüber aber die Eltern der Kläger als Käufer namhaft, die das Grundstück erwarben und Jahre später an die Kläger veräußerten. Zu einer Servitutseinräumung und -einverleibung zugunsten des klägerischen Grundstücks kam es in der Folge nicht, weil die Eltern der Kläger und die Beklagten keine Einigung über einen verbücherungsfähigen Vertragstext erzielten.
2015 verlangten die Kläger neuerlich die Unterfertigung eines Dienstbarkeitsvertrags, jedoch für Servituten über Grundstück 165/2, was die Beklagten verweigerten, gleichzeitig jedoch das Bestehen jedweder Zusage der Einräumung von Servituten bestritten (Beilage ./i).
Die Kläger begehrten zuletzt, die Beklagten zu verpflichten, eine Wegeservitut auf dem bestehenden Weg über die Parzellen 163/1 in einer Breite von circa viereinhalb Metern und 167/5 (Weg) in einer Breite von fünf Metern [in Beilage ./C schraffiert hervorgehoben] sowie eine Grunddienstbarkeit der Verlegung, Benützung und Instandhaltung von Ver- und Entsorgungsleitungen aller Art über diese Grundstücke einzuräumen und verbüchern zu lassen; hilfsweise begehren sie die Einräumung und Verbücherung solcher Dienstbarkeiten über die Grundstücke 165/2 und 167/5. Die Kläger brachten vor, die Beklagten hielten sich nicht an die von ihnen gemachte, als Vertrag zugunsten Dritter iSd § 881 Abs 2 ABGB zu verstehende Zusage und machten die Servitutseinräumung von nicht vereinbarten Einschränkungen und Bedingungen abhängig. Die Beklagten hätten auch später den Ausbau des Wegs über Grundstück 163/1 in einer Breite von zumindest dreieinhalb Metern und 167/5 zugesichert, wenn die Gemeinde die in diesem Weg befindliche Hauptwasserleitung auf eine Tiefe von mindestens 1,2 m lege und einen Kanalstrang errichte; dazu habe sich die Gemeinde auch verpflichtet. Verjährung nach § 1488 ABGB liege mangels Widersetzen gegen die Ausübung der Dienstbarkeit nicht vor. Die Kläger hätten den begehrten Servitutsweg wiederholt begangen und befahren, um auf ihr Grundstück zu gelangen, und seien nie daran gehindert worden. Verbreiterungsarbeiten des Wegs auf Grundstück 163/1 seien erst bei Beginn der Bauführung auf dem klägerischen Grundstück ins Auge gefasst worden; diese Bauabsicht habe erst 2015 bestanden. Die Beklagten hätten sich daher der Forderung nach Verbreiterung des Wegs frühestens Ende 2015 widersetzt, weshalb die 2017 gerichtsanhängig gewordene Klage rechtzeitig sei.
Die Beklagten bestritten und brachten vor, die Einräumung einer unentgeltlichen Dienstbarkeit an unbeteiligte Dritte sei nicht zugesagt worden. Die Zusage der Einräumung von Geh- und Fahrtrechten zugunsten des – schon vor Teilung, Umwidmung in Bauland und Veräußerung nur über Grundstücke der Familie der Beklagten erreichbaren – klägerischen Grundstücks sei nur im Verwaltungsverfahren erfolgt. Sie sei zudem unter der Bedingung erklärt worden, dass auch dieses Grundstück von Personen aus dem Familienverband der Beklagten erworben würde; dies sei den Beklagten vom Bürgermeister auch zugesichert, aber vom Land als Aufsichtsbehörde nicht genehmigt worden. Der ursprüngliche Plan der Errichtung eines Wegs auf der zugunsten anderer Grundstücke eingeräumten Servitut über die Grundstücke 165/2 und 167/5 habe sich aufgrund der Hanglage von 165/2 als technisch problematisch und unwirtschaftlich herausgestellt und sei letztlich aufgegeben worden. Vorerst hätten die Beklagten ab 1995 die Zufahrt zu südlichen Nachbargrundstücken des klägerischen Grundstücks provisorisch von anderen noch weiter südlich gelegenen, den Beklagten gehörenden Grundstücken ermöglicht. Der Zweitbeklagte habe in der Folge das an öffentlichen Grund angrenzende Grundstück 163/1 nur deshalb und über Marktwert erworben, um über den auf diesem Grundstück bestehenden Weg und weiter über das Grundstück 167/5 ausschließlich den mit ihm verwandten Grundeigentümern der Grundstücke 167/1–5 die Zufahrt zu ermöglichen. Um die Zufahrtsmöglichkeit zu verbessern, sei zudem vom Eigentümer des südlich benachbarten Grundstücks 163/2 in EZ ***** im Jahr 1999 ein Zwickel [„“ in Beilage ./C] erworben und mit dem Grundstück 163/1 vereinigt worden. Ein allenfalls doch entstandenes Dienstbarkeitsrecht des Gehens und Fahrens wäre zudem ohnehin gemäß § 1488 ABGB verjährt, weil sich die Beklagten bereits 1999, spätestens aber 2004 der Ausübung des Dienstbarkeitsrechts in der von den Rechtsvorgängern der Kläger gewünschten Form widersetzt hätten. Eine Dienstbarkeit in Bezug auf Versorgungsleitungen sei überhaupt nie zugesagt oder vereinbart worden.
Das Erstgericht erkannte die Beklagten einerseits schuldig, den Klägern die Dienstbarkeit des Geh- und Fahrrechts mit Fahrzeugen aller Art über den „zumindest 3,5 m breiten“ Weg auf der Parzelle 163/1 und in der Folge auf dem 5 m breiten Weg auf Grundstück 167/5, und andererseits die Grunddienstbarkeit der Verlegung, Benützung und Instandhaltung von Ver- und Entsorgungsleitungen aller Art (Kanal, Wasser, Strom, Telekommunikation, Gas, etc) über dieselben Grundstücke einzuräumen und in die grundbücherliche Einverleibung dieser Dienstbarkeiten einzuwilligen; das Mehrbegehren betreffend eine Wegbreite von „zumindest 4,5 m“ wies es ebenso wie alle anderen (auch Eventual-)Begehren ab.
Zwar sei die Zusage der Beklagten vom Jänner 1999 im Verwaltungsverfahren ergangen, die Gemeinde habe damit jedoch einen privatrechtlichen Vertrag zwischen ihnen und den Grundstückskäufern angebahnt. Aus der Erklärung resultiere ein klagbarer Anspruch, der in Ansehung des Wegerechts mit einer Breite von bloß 3,5 m ausverhandelt worden sei, auch Leitungsrechte umfasse und im Zeitpunkt der Schenkung an die Kläger bereits entstanden gewesen sei. Eine Einschränkung der Zusage auf Käufer aus dem Familienkreis sei der Erklärung nicht zu entnehmen. Der „Zwickel“, der aus dem Grundstück 163/2 erst später erworben und 163/1 zugeschlagen worden sei, sei von der Zusage nicht umfasst gewesen. Ein Widersetzen der Beklagten gegen die Ausübung sei den Feststellungen nicht zu entnehmen.
Das Berufungsgericht gab der Berufung der Beklagten gegen die Klagsstattgebung Folge und wies das gesamte Klagebegehren ab. Die Erklärung beider Beklagter vom Jänner 1999 sei im Sinne eines echten Vertrags zugunsten Dritter nach § 881 ABGB als verbindliches Leistungsversprechen der Dienstbarkeitseinräumung zugunsten der in der Folge als Käufer namhaft gemachten Rechtsvorgänger der Kläger zu verstehen. Weder eine Einschränkung auf einen bestimmten Käuferkreis noch die Zusage der Einräumung verbücherungsfähiger Leitungsrechte seien in der Erklärung erwähnt. Im Übrigen sei zur Frage, ob die Dienstbarkeit „über den in natura bestehenden Weg“ tatsächlich streng wörtlich – entgegen dem ausdrücklichen Zweck der Erschließung von Bauland – auf dem für Baufahrzeuge zu schmalen Weg eingeräumt worden sei, davon auszugehen, dass für alle Beteiligten selbstverständlich bzw nach dem einzig vernünftigen objektiven Erklärungswert die (Ermöglichung der) Herstellung eines entsprechend geeigneten „baulandtauglichen“ Wegs im derzeitigen Verlauf in natura gemeint gewesen sei, und zwar spätestens bei Eintritt der konkreten Bebauungsabsicht. Für ein Widersetzen gegen die Servitut nach § 1488 ABGB sei es nicht zwingend, dass der Berechtigte die Dienstbarkeit tatsächlich in Anspruch nehme und ihm dies der Verpflichtete – noch dazu in der konkreten Absicht, die Rechtsausübung zu verhindern – direkt verwehre; vielmehr genüge eine manifeste Beeinträchtigung des Servitutsrechts, die dessen Ausübung wahrnehmbar unmöglich mache oder beschränke. Dies sei spätestens bei einer Weigerung gegenüber dem entsprechenden Begehren des Berechtigten zu bejahen, den seiner Dienstbarkeit entsprechenden Zustand herzustellen. Die Beklagten hätten – trotz Dringens der Rechtsvorgänger der Kläger auf Servitutseinräumung – nur den bestehenden, für ein Befahren mit Baufahrzeugen aber ungeeigneten schmalen Weg bestehen lassen. Dementsprechend habe hier die dreijährige Verjährungsfrist spätestens mit der im Jahr 2005 anzusetzenden Verweigerung einer tatsächlichen und bücherlichen Umsetzung und dem damit vorliegenden Scheitern von Vergleichsverhandlungen zu laufen begonnen. Es sei daher Freiheitsersitzung eingetreten.
Das Berufungsgericht bewertete die Entscheidungsgegenstände als insgesamt und einzeln 30.000 EUR übersteigend und ließ die ordentliche Revision nicht zu.
Mit ihrer Revision beantragen die Kläger die Wiederherstellung des erstgerichtlichen Urteils; hilfsweise wird ein Aufhebungsantrag gestellt.
Mit ihrer vom Obersten Gerichtshof freigestellten Revisionsbeantwortung beantragen die Beklagten, die Revision zurückzuweisen, hilfsweise ihr nicht Folge zu geben.
Rechtliche Beurteilung
Die Revision ist zur Wahrung der Rechtssicherheit zulässig; sie ist teilweise auch berechtigt.
1.1. Wer Inhaber eines Dienstbarkeitsrechts ist und welche Befugnisse ihm zustehen, richtet sich nach dem Inhalt des Bestellungsvertrags. Bei der Vertragsauslegung, die nach den Regeln der §§ 914 f ABGB zu erfolgen hat, ist zunächst vom Wortlaut auszugehen. Dabei ist dem von den Parteien den einzelnen Vertragsbestimmungen beim Vertragsabschluss beigelegten Verständnis Vorrang zu geben. Nur dann, wenn sich ein solches übereinstimmendes Verständnis nicht ermitteln lässt, hat eine normative Interpretation unter besonderer Berücksichtigung des Vertragszwecks stattzufinden (4 Ob 202/19p; RIS‑Justiz RS0011720; RS0107851).
1.2. Ein echter Vertrag zugunsten Dritter liegt vor, wenn aufgrund einer Vereinbarung ein an dieser nicht beteiligter Dritter nicht nur Leistungsempfänger, sondern auch Forderungsberechtigter sein soll (§ 881 ABGB; RS0017149). Nach ständiger Rechtsprechung hängt es von dem – aus der Natur und dem Zweck des Vertrags zu ermittelnden – Parteiwillen ab, ob und unter welchen Voraussetzungen und in welchem Zeitpunkt auch der Dritte unmittelbar das Recht erwirbt, vom Versprechenden die Erfüllung des zu seinen Gunsten abgegebenen Versprechens zu fordern (RS0017137). Im Zweifel liegt ein echter Vertrag zugunsten Dritter vor, wenn die Leistung hauptsächlich dem Dritten zum Vorteil gereichen soll. Bei einem Eigeninteresse eines Vertragspartners ist hingegen ein unechter Vertrag zugunsten Dritter anzunehmen (RS0017145). Ob ein echter Vertrag zugunsten Dritter vorliegt, ist eine Frage der Vertragsauslegung (vgl RS0017113; 7 Ob 79/15s).
2.1. Hier haben die Beklagten der Gemeinde ***** bzw von ihr namhaft gemachten Käufern im Jänner 1999 in einer – von ihnen beiden unterfertigten – Urkunde zugesagt (Beilage ./B), dass sie bei Umwidmung (auch) für das klägerische Grundstück 167/1 oder Teilflächen davon das uneingeschränkte Geh- und Fahrrecht auf dem in der Natur bestehenden Zufahrtsweg auf Grundstück 163/1 und dann der Wegparzelle 167/5 unentgeltlich und bei Vorlage der entsprechenden Dokumente grundbücherlich sichergestellt einräumen werden.
2.2. Diese Erklärung ist nach ihrem klaren Wortlaut dahin zu verstehen, dass damit der Gemeinde oder den von ihr namhaft gemachten Käufern des Grundstücks 167/1 die Einräumung der Wegedienstbarkeit unmittelbar und hauptsächlich zum Vorteil gereichen soll. Dies ist – wie schon das Berufungsgericht zutreffend erkannte – als echter Vertrag zugunsten Dritter anzusehen, weil die Begünstigung dem jeweiligen Grundeigentümer zugute kommt, dem die Zufahrt zum für Wohnzwecke zu nutzenden Grundstück ermöglicht werden soll. Der Begünstigte und das Fehlen von spezifischem Eigeninteresse der Gemeinde als Erklärungsempfängerin nach dem Verkauf sind damit hinreichend konkretisiert. Inwiefern kein solcher Vertrag zustandegekommen wäre, weil er die Formerfordernisse nach § 55 TGO nicht erfülle, wurde weder in erster Instanz noch in der Berufung konkret dargelegt, zumal im Vertrag nicht die – nach Abs 1 leg cit vom Bürgermeister nach außen vertretene – Gemeinde verpflichtet wurde. Dass – abgesehen von der Gemeinde – der Servitutsbegünstigte zum Zeitpunkt der Zusage noch nicht feststand, schadet daher der Annahme eines echten Vertrags zugunsten Dritter nicht, denn dessen Berechtigung konnte nach dem Vertragswortlaut entweder sofort mit dem Abschluss des Vertrags, aber auch zu einem späteren Zeitpunkt entstehen.
2.3. Ebenso zutreffend hat das Berufungsgericht diese Erklärung dahin ausgelegt, dass damit nach ihrem einzig vernünftigen objektiven Erklärungswert und für alle Beteiligten selbstverständlich die (Ermöglichung der) Herstellung eines auch für Baufahrzeuge geeigneten „baulandtauglichen“ Wegs in dem im Jänner 1999 bestehenden Verlauf in natura (also ohne den erst später aus Grundstück 163/2 zugekauften und nicht Gegenstand des Begehrens bildenden „Zwickel“) gemeint war, und zwar spätestens bei Eintritt der konkreten Bebauungsabsicht. Dass dieser „Zwickel“ im Übrigen nicht nur zur „Verbesserung der Zufahrtssituation“ und – wie festgestellt – „um eine bessere Zufahrt zu schaffen“ erworben worden wäre, sondern eine Zufahrt ohne Benützung dieses „Zwickels“ oder des Nachbargrundstücks der Kläger Nummer 167/2 gar nicht möglich wäre, steht nicht fest und wurde in erster Instanz auch nicht behauptet.
2.4. Zusammengefasst war von den Beklagten nach dem objektiven Erklärungswert die (Ermöglichung der) Herstellung eines für Baufahrzeuge geeigneten Wegs im Verlauf des im Jänner 1999 in natura bestehenden Wegs zugesagt.
3.1. Dienstbarkeiten erlöschen nach § 524 ABGB „im Allgemeinen auf diejenigen Arten, wodurch nach dem dritten oder vierten Hauptstücke des dritten Teils Rechte und Verbindlichkeiten überhaupt aufgehoben werden“. Diese Bestimmung verweist einerseits auf § 1488 ABGB, wonach ein dreijähriger Nichtgebrauch genügt, wenn sich der Verpflichtete der Ausübung widersetzt; anderseits erlöschen Dienstbarkeiten nach § 1479 ABGB durch dreißigjährige (in den besonderen Fällen des § 1485 ABGB durch vierzigjährige) Nichtausübung (4 Ob 190/13i mwN).
Die sogenannte Freiheitsersitzung ist nach einhelliger Lehre und Rechtsprechung ein Verjährungsfall. Voraussetzung für deren Eintritt ist, dass sich der Verpflichtete fortwährend der Ausübung der Dienstbarkeit widersetzt und der Berechtigte deshalb deren Ausübung, ohne richterliche Hilfe in Anspruch zu nehmen, tatsächlich unterlassen hat. Dazu ist es erforderlich, dass der Belastete ein Hindernis errichtet, das die Ausübung des Rechts für den Berechtigten wahrnehmbar unmöglich macht oder beeinträchtigt. Ein letztlich erfolglos gebliebenes Widerstreben des Verpflichteten führt nicht zum Rechtsverlust (5 Ob 74/15s mwN). Zwar ist grundsätzlich die Freiheitsersitzung nach § 1488 ABGB auch auf vertragliche, jedoch noch unverbücherte Servituten – wie hier – im Wege der Analogie anwendbar (8 Ob 124/19x mwN); weiters ist die Freiheitsersitzung auch dann möglich, wenn der Berechtigte die Dienstbarkeit bisher nicht ausgeübt hat, aber die Ausübung nach dem Lauf der Dinge möglich gewesen wäre (RS0105602). Eine die Verjährungsfrist in Gang setzende Widersetzlichkeit gegen die Ausübung einer Dienstbarkeit liegt aber nur dann vor, wenn sich der verpflichtete Teil der tatsächlichen Ausübung der Dienstbarkeit widersetzt; er kann sich aber nicht einer nicht in Anspruch genommenen Dienstbarkeit iSd § 1488 ABGB widersetzen (
RS0034271): Durch die bloße Aufrechterhaltung des bei der Servitutenbestellung bestehenden Zustands tritt keine Freiheitsersitzung ein (vgl schon 6 Ob 147/64 = RS0034274).
3.2. Nach den Feststellungen haben die Beklagten hier nach ihrer schuldrechtlichen Zusage der Einräumung der Servitut keine Handlungen gesetzt, die als Widersetzlichkeit iSd § 1488 ABGB zu werten wären, indem sie ein Hindernis errichtet hätten, das die Ausübung des Rechts für den Berechtigten wahrnehmbar unmöglich gemacht oder beeinträchtigt hätte. Der Umstand, dass sie ihrer schuldrechtlichen Verpflichtung zur Einräumung und Verbücherung der Servitut letztlich nicht nachkamen, ist nicht als Widersetzlichkeit gegen die tatsächliche Ausübung der Dienstbarkeit anzusehen, die geeignet gewesen wäre, den Lauf der Verjährungsfrist nach § 1488 ABGB in Gang zu setzen.
Ob in der nach den Feststellungen seit 2015 vorliegenden gänzlichen Leugnung der Einräumung einer Servitut über das Grundstück 163/1 eine Widersetzlichkeit zu erblicken ist, muss hier nicht geklärt werden, weil diesfalls innerhalb der Frist des § 1488 ABGB Klage erhoben worden wäre.
3.3. Zudem kann ein Anspruch auf Begründung eines auf vertraglicher Grundlage zugestandenen dinglichen Rechts – wie etwa einer Grunddienstbarkeit – mittels der nach dem Gesetz gebotenen Erwerbsart (Verbücherung) solange nicht wegen Verjährung scheitern, als die dafür maßgebende Obligation noch unverjährt ist (vgl 1 Ob 181/04f = RS0119577). Warum hier die von den Beklagten im Vertrag mit der Gemeinde zugunsten Dritter übernommene schuldrechtliche Verpflichtung verjährt sein sollte, ist weder behauptet worden noch ersichtlich. Es wäre aber an den Beklagten gelegen, einen Sachverhalt zu behaupten und zu beweisen, der die Einwendung der
Verjährung als begründet erscheinen lassen könnte (vgl RS0034326).
3.4. Zusammengefasst sind weder die hier zwar obligatorisch zugesagte, aber noch nicht verbücherte Wegeservitut noch die Verpflichtung zur Einräumung und Verbücherung dieser Servitut verjährt.
3.5. Es war daher der Revision insoweit Folge zu geben, als in Stattgebung des Hauptbegehrens die Beklagten entsprechend der von ihnen übernommenen schuldrechtlichen Obligation zu verpflichten waren, den sich aus Beilage ./C ergebenden Weg in dem im Jänner bestehenden Verlauf in einer Weise einzuräumen und verbüchern zu lassen, dass dessen Benützung mit Fahrzeugen bis zur Breite von Baufahrzeugen möglich ist. Bei der in diesem Sinne verdeutlichten Fassung des Spruchs (RS0039357) war auch auf die bereits erfolgte Abweisung in Ansehung einer Breite von zumindest 4,5 m durch das Erstgericht, welche unangefochten in Rechtskraft erwuchs, Bedacht zu nehmen.
Da dem Hauptbegehren auf Einräumung der Servitut über das Grundstück 165/1 aufgrund der Zusage vom Jänner 1999 stattgegeben wird, ist über das diesbezügliche Eventualbegehren (Weg über Grundstück 165/2) nicht abzusprechen (vgl RS0037585 [insb T11]).
4.1. Soweit sich die Revision gegen die Abweisung des Begehrens auf Einräumung von Leitungsrechten über Grundstück 163/1 wendet, hat das Berufungsgericht zutreffend erkannt, dass der Zusage vom Jänner 1999 keinerlei Hinweise zu entnehmen sind, dass die Beklagten damit eine Verpflichtung übernommen hätten, Dritten iSd § 881 ABGB bzw konkret den Klägern über die Gestattung eines Wegs wie oben beschrieben hinaus verbücherungsfähige Leitungsrechte einzuräumen. Soweit sich die Revision auf Passagen im Rahmen der erstgerichtlichen Feststellungen bezieht, wonach auch Leitungsrechte bereits zuvor eingeräumt gewesen seien, handelt es sich – wie schon das Berufungsgericht im Rahmen der Behandlung der Beweisrüge der Beklagten erkannte – um dislozierte rechtliche Erwägungen des Erstgerichts ohne konkretes Tatsachensubstrat, die das Berufungsgericht nicht als Konstatierungen seiner rechtlichen Beurteilung zugrundezulegen hatte.
Mängel des Berufungsverfahrens oder Aktenwidrigkeiten liegen in diesem Zusammenhang nicht vor.
Die Abweisung des Hauptbegehrens in Ansehung des Leitungsrechts ist daher zu Recht erfolgt.
4.2. Für das Eventualbegehren in Ansehung des Leitungsrechts stützt sich die Revision erkennbar auf den Dienstbarkeitsvertrag vom Dezember 1993 Beilage ./K, womit dem Rechtsvorgänger der Eltern der Kläger eine Dienstbarkeit zugesagt worden sein soll, und diese Zusage mit dem Kaufvertrag Beilage ./13 auf die Eltern der Kläger übergegangen sei.
In erster Instanz haben die Kläger aber – als ursprüngliches Hauptbegehren – vorgebracht, die Beklagten hätten gegenüber der Gemeinde die Einräumung der Servitut über Grundstück 165/2 zugunsten der künftigen Eigentümer des klägerischen Grundstücks zugesichert. Tatsächlich ist der genannte Vertrag (Beilage ./K) aber ein solcher zwischen mehreren Grundeigentümern ohne Beteiligung der Gemeinde; zudem wurden in diesem Vertrag nur Geh- und Fahrrechte – ohne Erwähnung von Leitungsrechten – eingeräumt, und dies auch nicht zugunsten des nunmehr klägerischen Grundstücks. Erst im Kauf- und Dienstbarkeitsvertrag über das klägerische Grundstück aus dem Jahr 1993 (Beilage ./3), mit dem dieses vom Voreigentümer der Eltern der Kläger an eine Verwandte der Beklagten verkauft werden sollte, räumten die Beklagten der Käuferin zwar ausdrücklich ein Geh- und Fahrrecht – wiederum ohne Erwähnung von Leitungsrechten – über Grundstück 165/2 ein. Dieser Vertrag kam jedoch nach den Feststellungen nicht zustande, weil er unter der Bedingung der später tatsächlich aber versagten (Beilage ./4) aufsichtsbehördlichen Genehmigung der Umwidmung des klägerischen Grundstücks stand.
Soweit sich die Revision der Kläger daher zur Begründung des Eventualbegehrens auf Beilage ./K stützen will, entfernt sie sich sowohl von ihrem in erster Instanz erstatteten Vorbringen (vgl
RS0043352 [T13, T14]) als auch von den Feststellungen. Behauptete rechtliche Feststellungsmängel liegen in diesem Zusammenhang nicht vor.
Die Entscheidung 4 Ob 74/07x ist schon deshalb nicht einschlägig, weil die Eltern der Kläger nicht eine mit einer außerbücherlichen Servitut belastete Liegenschaft vom selben Eigentümer der herrschenden Liegenschaft erwarben.
Soweit auf die festgestellte „Stellungnahme“ Beilage ./7 (ersichtlich zur Äußerung der Aufsichtsbehörde Beilage ./6) Bezug genommen wird, kann dahingestellt bleiben, ob es sich dabei um eine bloße Wissenserklärung des Zweitbeklagten handelt, weil auch diese nur ein Geh- und Fahrrecht, nicht jedoch ein Leitungsrecht erwähnt, sondern darauf verweist, dass eine anderweitige Anbindung an das Kanalnetz möglich sei.
Dass die Überlegungen des Erstgerichts im Rahmen der Feststellungen (wonach Leitungsrechte im Jahr 1999 nicht erwähnt worden seien, weil Leitungen schon verlegt gewesen wären) offenkundig irrig sind, ergibt sich schon aus den unangefochtenen weiteren Konstatierungen, wonach Kanal und Wasser von der Gemeinde zwischen 2000 und 2005 verlegt worden seien. Wie dies für ein dem klägerischen Grundstück bereits 1993 eingeräumtes Leitungsrecht sprechen sollte, ist nicht ersichtlich.
Auch die Abweisung des auf das Leitungsrecht bezogenen Eventualbegehrens ist damit nicht zu beanstanden.
5. Zusammengefasst war daher in Ansehung des Hauptbegehrens auf Einräumung der Wegedienstbarkeit über die Grundstücke 163/1 (im Rahmen des noch Gegenstand des Rechtsmittelverfahrens bildenden und sich aus der Zusage ergebenden Umfangs) und 167/5 die Entscheidung des Erstgerichts wiederherzustellen; in Ansehung der Leitungsdienstbarkeit hatte es bei der Abweisung von Haupt- und Eventualbegehren durch das Berufungsgericht zu bleiben.
6.1. Die Kostenentscheidung für das Revisionsverfahren gründet sich auf §§ 50, 43 Abs 1 ZPO. Die Kläger sind mit ihrem mit 10.000 EUR bewerteten Begehren durchgedrungen, mit dem mit 3.000 EUR bewerteten Begehren jedoch unterlegen, was einem Obsiegen von etwa drei Vierteln gleichkommt. Sie haben daher die Hälfte der Kosten ihrer Revision und drei Viertel der Pauschalgebühren ersetzt zu erhalten.
Ein ERV-Zuschlag gemäß § 23a erster Satz RATG in Höhe von 4,10 EUR gebührt nur für verfahrenseinleitende, nicht jedoch für fortgesetzte Schriftsätze, unter denen auch alle Rechtsmittelschriftsätze zu verstehen sind (RS0126594 [T1]; nunmehr 2,10 EUR).
6.2. Müsste der Oberste Gerichtshof infolge Abänderung der Entscheidung in der Hauptsache gemäß § 50 Abs 1 Satz 1 ZPO auch über die Verfahrenskosten erster und zweiter Instanz entscheiden, kann er in sinngemäßer Anwendung des § 510 Abs 1 letzter Satz ZPO die Kostenentscheidung des Berufungsgerichts aufheben und diesem eine neuerliche Kostenentscheidung auftragen, wenn dafür – wie hier – eingehende Berechnungen notwendig sind (RS0124588; hier: Klagsmodifikationen, Teilabweisung in erster Instanz, Einwendungen gegen die Kostennoten und Einwendungen im unerledigt gebliebenen Kostenrekurs der Kläger).
Lizenziert vom RIS (ris.bka.gv.at - CC BY 4.0 DEED)
