Normen
B-VG Art139 Abs1 Z1
StGG Art5
EMRK 1. ZP Art1
Stmk RaumOG 2010 §9 , §26, §40
Flächenwidmungsplan 4.0 der Landeshauptstadt Graz §4, Deckplan1
VfGG §7 Abs2
European Case Law Identifier: ECLI:AT:VFGH:2024:V80.2024
Spruch:
I. §4 iVm Deckplan 1 (Bebauungsplanzonierungsplan) des 4.0 Flächenwidmungsplanes der Landeshauptstadt Graz, Amtsblatt der Landeshauptstadt Graz Nr 04/2018, idF des 4.04 Flächenwidmungsplanes der Landeshauptstadt Graz, Amtsblatt der Landeshauptstadt Graz Nr 08/2021, wird, soweit damit für das Grundstück Nr .52/1, EZ123, KG 63124 Waltendorf, die Erforderlichkeit einer Bebauungsplanung vorgesehen wird, als gesetzwidrig aufgehoben.
II. Die Steiermärkische Landesregierung ist zur unverzüglichen Kundmachung dieses Ausspruches im Landesgesetzblatt für Steiermark verpflichtet.
Begründung
Entscheidungsgründe
I. Antrag
Mit dem vorliegenden, auf Art139 Abs1 Z1 B‑VG gestützten Antrag begehrt das Landesverwaltungsgericht Steiermark, der Verfassungsgerichtshof möge "§4 iVm Deckplan 1 (Bebauungsplanzonierungsplan) des 4.0 Flächenwidmungsplans der Landeshauptstadt Graz, Amtsblatt der Landeshauptstadt Graz Nr 04/2018, idF 4.04 Flächenwidmungsplan der Landeshauptstadt Graz, Amtsblatt der Landeshauptstadt Graz Nr 08/2021, soweit damit für das Grundstück Nr .52/1, EZ123, KG 63124 Waltendorf, die Erforderlichkeit einer Bebauungsplanung vorgesehen wird," als gesetzwidrig aufheben.
II. Rechtslage
1. Die maßgeblichen Bestimmungen des Steiermärkischen Raumordnungsgesetzes 2010 – StROG, LGBl 49/2010, idF LGBl 73/2023 lauten auszugsweise wie folgt (ohne Hervorhebungen im Original):
"§26
Inhalt des Flächenwidmungsplans
(1) Der Flächenwidmungsplan hat das gesamte Gemeindegebiet räumlich zu gliedern und die Nutzungsart für alle Flächen entsprechend den räumlich-funktionellen Erfordernissen festzulegen. Dabei sind folgende Nutzungsarten vorzusehen:
1. Bauland,
2. Verkehrsflächen,
3. Freiland.
[…]
(2) – (3) […]
(4) Im Flächenwidmungsplan hat die Gemeinde jene Teile des Baulandes und jene Sondernutzungen im Freiland sowie jene Verkehrsflächen festzulegen, für die durch Verordnung Bebauungspläne zu erlassen sind (Bebauungsplanzonierung). Die Festlegungen sind bei der nächsten regelmäßigen Revision oder Änderung des Flächenwidmungsplanes im Flächenwidmungsplan zu treffen. Die Gemeinde kann überdies in der Bebauungsplanzonierung festlegen, dass bestimmte bauliche Anlagen bereits vor dem Vorliegen eines rechtswirksamen Bebauungsplanes baurechtlich bewilligt werden dürfen, wenn sich diese in die umgebende Bebauung einfügen, der Ensemblekomplettierung dienen und im Einklang mit den mit der Bebauungsplanung verfolgten Zielsetzungen stehen. Dazu sind Festlegungen hinsichtlich Lage, Größe, Höhe, Gestaltung und Funktion zu treffen. Bei jeder weiteren Fortführung oder Änderung des Flächenwidmungsplanes sind die Bebauungsplanzonierung sowie der Inhalt der Festlegungen zu überprüfen.
(5) – (8) […]
[…]
§40
Bebauungsplanung
(1) Jede Gemeinde hat zur Umsetzung der im Flächenwidmungsplan festgelegten Bebauungsplanzonierung durch Verordnung Bebauungspläne zu erstellen und fortzuführen. Der Bebauungsplan besteht aus einer zeichnerischen Darstellung und einem Verordnungswortlaut. Zur Begründung ist ein Erläuterungsbericht zu erstellen.
(2) Mit der Bebauungsplanung ist eine den Raumordnungsgrundsätzen entsprechende Entwicklung der Struktur und Gestaltung des im Flächenwidmungsplan ausgewiesenen Baulandes und des Freilandes (Sondernutzungen) anzustreben.
(3) […]
(4) Die Erlassung von Bebauungsplänen hat jedenfalls zu erfolgen:
1. Nach einer Änderung des Flächenwidmungsplanes zur Vermeidung oder Behebung von Widersprüchen zu übergeordneten Planungen der Gemeinde, zumindest im Anlassfall.
2. Zur Errichtung von Einkaufszentren. Ein begründeter Entfall ist bei bereits abgeschlossen bebauten Gebieten zulässig, wenn keine wesentliche Veränderung des äußeren Erscheinungsbildes und der Auswirkungen auf die Umwelt zu erwarten sind. Die Aufstellung oder Fortführung eines Bebauungsplanes ist auch Voraussetzung für Änderungen an einem Einkaufszentrum, die eine Baubewilligung erfordern und auf den Flächenwidmungsplan und den Zweck der Bebauungsplanung von Einfluss sind. In der Bebauungsplanung sind unter anderem die gesetzlichen Regelungen für Einkaufszentren in Verbindung mit den Bestimmungen der Einkaufszentrenverordnung umzusetzen.
3. In einem Landschaftsschutzgebiet gemäß den naturschutzrechtlichen Bestimmungen, wenn die als Bauland, Sondernutzungen im Freiland sowie Verkehrsflächen ausgewiesenen, zusammenhängend unbebauten Grundflächen 3 000 m2 übersteigen, sofern kein räumliches Leitbild gemäß §22 Abs7 erlassen wurde.
4. Beim Erfordernis einer Grundumlegung.
5. Für Flächen, die nach den forstrechtlichen und wasserrechtlichen Bestimmungen als Gefahrenzonen ausgewiesen sind, wenn die als Bauland, Sondernutzungen im Freiland sowie Verkehrsflächen ausgewiesenen, zusammenhängend unbebauten Grundflächen 3 000 m² übersteigen.
(5) – (7) […]
(8) Für die Teile des Baulandes und jene Sondernutzungen im Freiland, für die gemäß §26 Abs4 Bebauungspläne zu erlassen sind, haben die Gemeinden spätestens im Anlassfall (z. B. Ansuchen um Erstellung eines Bebauungsplanes nach erfolgter Abklärung aller Vorfragen) Bebauungspläne zu erstellen. Dabei ist das Verfahren zur Erstellung oder Änderung der Bebauungspläne unverzüglich nach Eintreten des Anlassfalles einzuleiten und spätestens innerhalb von 18 Monaten abzuschließen. Baubewilligungen nach dem Steiermärkischen Baugesetz dürfen erst nach Vorliegen eines rechtswirksamen Bebauungsplanes erteilt werden. Für Zubauten sowie für bauliche Anlagen, die entsprechend einer Festlegung im Flächenwidmungsplan gemäß §26 Abs4 vor der Erlassung eines Bebauungsplanes baurechtlich bewilligt werden dürfen, ist ein Gutachten eines Sachverständigen auf dem Gebiet der Raumplanung ausreichend.
§41
Inhalt der Bebauungsplanung
(1) In den Bebauungsplänen sind jedenfalls ersichtlich zu machen und festzulegen (Mindestinhalt):
1. Ersichtlichmachungen:
a) – d) […]
2. Festlegungen:
a) Geltungsbereich: Abgrenzung des Planungsgebietes, Abgrenzung von Teilbereichen mit unterschiedlichen Festlegungen;
b) Verkehrsflächen der Gemeinde: Straßenfluchtlinien, Abgrenzung der öffentlichen Verkehrsfläche;
c) Regelungen für den ruhenden Verkehr: Grundsätze zur Art und Lage der Abstellflächen;
d) Freiflächen und Grünanlagen: Grundsätze zur Nutzung und Gestaltung;
e) private Verkehrsflächen: Grundsätze zur inneren Erschließung;
f) Bebauungsweise: offen, gekuppelt, geschlossen;
g) Höhenentwicklung der Gebäude: Maximalwerte zur Gesamthöhe von Gebäuden und/oder zu Gebäudehöhen;
h) Mindestabstand zu öffentlichen Verkehrsflächen;
i) bauliche Ausnutzbarkeit der Grundflächen: Erhöhung oder Verringerung der im Flächenwidmungsplan angegebenen Grenzwerte der Bebauungsdichte, Festlegung des Bebauungsgrades und des Grades der Bodenversiegelung.
(2) In den Bebauungsplänen können folgende zusätzliche Inhalte (fließend bis Maximalinhalt) festgelegt werden:
1. Verkehrsflächen der Gemeinde und private Verkehrsflächen: Höhenlage und Profile der Verkehrsflächen, Überbaubarkeit von Verkehrsflächen, differenzierte Verkehrsfunktionen, Grundstückszufahrten, Grundsätze zur Grünausstattung, zur Oberflächengestaltung und Beleuchtung, Abtretungsflächen, Festlegung der inneren Erschließung, Durchlässigkeit (auch für Fuß- und Radwege, Durchgänge, Passagen, Arkaden und dergleichen);
2. öffentlicher Verkehr: Vorkehrungen für den öffentlichen Verkehr;
3. Regelungen für den ruhenden Verkehr: Reduktion oder Erhöhung der Anforderungen, Detailangaben zur Gestaltung und Grünausstattung von Parkplätzen, zu Einfahrten in Tiefgaragen usw;
4. Detailfestlegungen zu Erschließungssystemen;
5. Nutzung der Gebäude: Verteilung der Nutzungen im Sinn der jeweiligen Baugebietskategorie (in Teilbereichen, in Gebäuden, in Geschoßen), Anzahl der Wohnungen oder Anteil der Wohnnutzflächen, Anteil der Betriebsflächen, Angaben zur Raumhöhe, Anzahl der Abstellflächen pro Wohneinheit;
6. Höhenentwicklung der Gebäude: Detailangaben zu Gebäudehöhen, Geschoßanzahlen, Geschoßhöhen in Abhängigkeit von Nutzungen; Maximal- und Mindesthöhen, Höhenlage der Gebäude (Niveau Erdgeschoß Fußboden);
7. Lage der Gebäude, nicht bebaubare Flächen, Stellung der Gebäude: Festlegung von Baugrenzlinien, Baufluchtlinien, der Längsrichtung, Firstrichtung, Gebäudetiefe usw, Differenzierung nach Geschoßebenen und Grundstücksgrenzen;
8. Grün- und Freiflächen: Detaillierte Festlegung der Nutzungen, Oberflächen – und Geländegestaltung, Erhaltungs- und Pflanzgebote, Grünflächenfaktor, lebende Zäune, Höfe, Kinderspielplätze und dergleichen;
9. Gestaltung von Gebäuden und Anlagen: Proportionen der Baukörper, Dachformen, Materialien, Farben, Oberflächenbehandlung, Stützmauern, Beläge von Terrassen, Spielplätze;
10. Umweltschutz (Lärm, Kleinklima, Beheizung, Oberflächenentwässerung und dergleichen): Maßnahmen an Gebäuden, an Verkehrs- und Betriebsflächen und Grundstücken und zum Schutz vor Naturgefahren;
11. Ver- und Entsorgung: Trassen der Ver- und Entsorgung, Abfall- und Altstoffsammelzentren;
12. Einfriedungen und Werbeanlagen: Vorschriften über Höhe, Ausbildung, Materialien, Beleuchtung;
13.unterirdische Gebäudeteile.
(3) […]"
2. Die maßgebliche Bestimmung des 4.0 Flächenwidmungsplanes der Landeshauptstadt Graz, beschlossen vom Gemeinderat am 11. Mai 2017 und am 8. Februar 2018, genehmigt von der Steiermärkischen Landesregierung mit Bescheid vom 8. März 2018 und kundgemacht im Amtsblatt vom 22. März 2018, ABl. 04/2018, lautet:
"§4
BEBAUUNGSPLANZONIERUNG
(1) Für Flächen, für die gemäß Deckplan 1 (Bebauungsplanzonierungsplan) eine Bebauungsplanung erforderlich ist, wird im Anlassfall ein Bebauungsplan erstellt. Baubewilligungen sowie Genehmigungen nach §33 nach dem Steiermärkischen Baugesetz 1995 dürfen erst nach Vorliegen eines rechtswirksamen Bebauungsplanes erteilt werden. Für Zubauten ist ein Gutachten eines Sachverständigen auf dem Gebiet der Raumplanung ausreichend.
(2) Gemäß §26 Abs26 des 4.0 Stadtentwicklungskonzeptes der Stadt Graz gilt Abs1 sinngemäß auch für Flächen mit bestehender oder angestrebter Blockrandbebauung in geschlossenen Siedlungsbereichen, für die zum Schutz der Innenhöfe und Vorgärten die Bebauungsplanpflicht festgesetzt ist, mit der Maßgabe, dass bei der Schließung von Baulücken und bei Zubauten ein raumplanerisches Gutachten genügt.
(3) Für Flächen mit zeitlich nachfolgend einsetzender Bebauungsplanpflicht gilt ebenfalls Abs1 sinngemäß.
(4) Innerhalb der festgelegten bebauungsplanpflichtigen Gebiete ist im Zuge der Bebauungsplanerstellung eine Unterteilung in städtebaulich zweckmäßige Planungsgebiete (Teilbebauungspläne) vorzunehmen.
(5) Die in der Bebauungsplanzonierung festgelegte Bebauungsplanpflicht für Vorbehaltsflächen tritt erst mit Einsetzen der zeitlich nachfolgenden Nutzung in Kraft. Für diese gilt dann Abs1 sinngemäß."
3. Die maßgebliche Bestimmung des 4.04 Flächenwidmungsplanes der Landeshauptstadt Graz, beschlossen vom Gemeinderat am 25. Februar 2021 und am 25. März 2021, kundgemacht im Amtsblatt der Landeshauptstadt Graz 08/2021, genehmigt mit Bescheid der Steiermärkischen Landesregierung vom 19. August 2021, lautet:
"§2
Gegenüber dem 4.0 Flächenwidmungsplan der Landeshauptstadt Graz i.d.F. 4.03 werden folgende Änderungen vorgenommen:
1) – 11) […]
12) Waltendorfer Hauptstraße
Festlegung einer Pflicht zur Erstellung eines Bebauungsplanes im Deckplan 1 – Bebauungsplanzonierungsplan nördlich und südlich der Waltendorfer Hauptstraße im Ausmaß von ca 20.900 m²
13) – 31) […]“
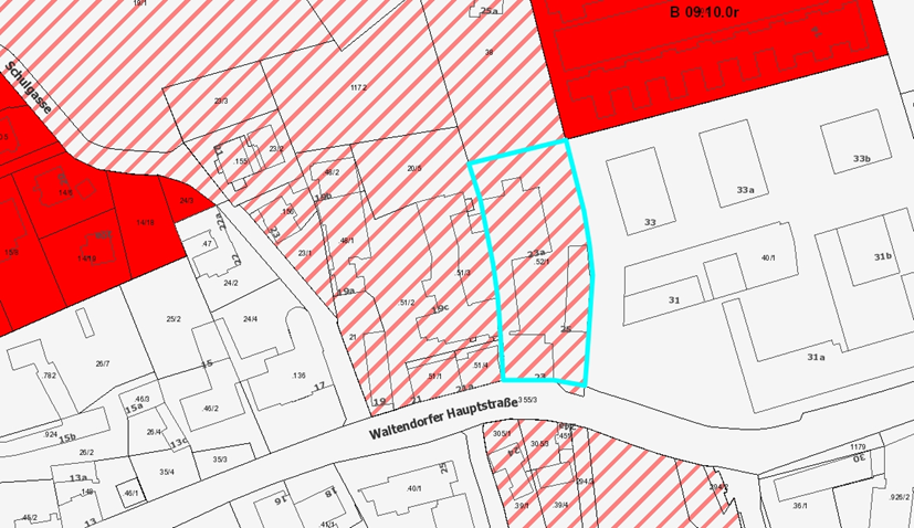
4. Der maßgebliche Bereich des Deckplanes 1 (Bebauungsplanzonierungsplan) des 4.0 Flächenwidmungsplanes idF des 4.04 Flächenwidmungsplanes der Landeshauptstadt Graz stellt sich wie folgt dar (das betreffende Grundstück ist türkis umrandet und rot schraffiert):
III. Antragsvorbringen und Vorverfahren
1. Dem Antrag liegt folgender Sachverhalt zugrunde:
2. Die Partei des Verfahrens vor dem antragstellenden Gericht (im Folgenden: beteiligte Partei), eine juristische Person des Privatrechts, ist Eigentümerin des als "Bauland – Allgemeines Wohngebiet" gewidmeten Grundstückes Nr .52/1, EZ123, KG 63124 Waltendorf, in Graz. Mit der 4. Änderung des 4.0 Flächenwidmungsplanes der Landeshauptstadt Graz (4.04 Flächenwidmungsplan) wurde ua für dieses Grundstück die Erforderlichkeit einer Bebauungsplanung verordnet (§2 iVm Deckplan 1 [Bebauungsplanzonierungsplan]). Allgemein gilt gemäß §40 Abs8 StROG, dass, soweit eine Bebauungsplanpflicht nach §26 Abs4 StROG besteht, die Gemeinden spätestens im "Anlassfall" Bebauungspläne zu erstellen haben, wobei das Verfahren zur Erstellung oder Änderung der Bebauungspläne unverzüglich nach Eintreten des "Anlassfalles" einzuleiten und spätestens innerhalb von 18 Monaten abzuschließen ist. Baubewilligungen dürfen erst nach Vorliegen eines rechtswirksamen Bebauungsplanes erteilt werden.
3. Am 28. Juni 2024 stellte die beteiligte Partei gemäß §18 Stmk BauG einen Antrag auf Festlegung der Bebauungsgrundlagen im Einzelfall für das betreffende Grundstück. Begründend führte die beteiligte Partei im Wesentlichen aus, dass sie bereits am 4. August 2020 um die Erlassung eines Bebauungsplanes angesucht habe, ein solcher jedoch nicht erlassen worden sei.
4. Der Stadtsenat der Landeshauptstadt Graz wies den Antrag mit Bescheid vom 4. Juli 2024 zurück und begründete dies im Wesentlichen damit, dass die Festlegung der Erforderlichkeit von Bebauungsplänen gemäß §26 Abs4 StROG im Deckplan 1 (Bebauungsplanzonierungsplan) zum 4.0 Flächenwidmungsplan erfolge.
5. Aus Anlass der gegen diesen Bescheid erhobenen Beschwerde stellt das Landesverwaltungsgericht Steiermark am 16. September 2024 den vorliegenden Antrag gemäß Art139 Abs1 Z1 B‑VG an den Verfassungsgerichtshof.
6. Das Landesverwaltungsgericht Steiermark legt seine Bedenken auf das Wesentliche zusammengefasst wie folgt dar:
Die beteiligte Partei habe am 4. August 2020 einen an den Leiter des Stadtplanungsamtes der Landeshauptstadt Graz als zuständigen Sachbearbeiter der verordnungserlassenden Behörde gerichteten Antrag auf Erlassung eines Bebauungsplanes für das Grundstück Nr .52/1, EZ123, KG 63124 Waltendorf, gestellt. §40 Abs8 StROG führe ein "Ansuchen um Erstellung eines Bebauungsplanes nach erfolgter Abklärung aller Vorfragen" als Beispiel für einen die Frist von 18 Monaten zur Erlassung eines Bebauungsplanes auslösenden "Anlassfall" an. Was eine "Vorfrage" iSd §40 Abs8 StROG darstelle, sei weder im Gesetz definiert noch habe sich der Verfassungsgerichtshof in seiner Entscheidung vom 3. März 2022, V249/2021, damit auseinandergesetzt. Ansichten in der Literatur zufolge stellten etwa Aufschließungserfordernisse "Vorfragen" dar. Das betreffende Grundstück sei jedoch aufgeschlossen, als vollwertiges Bauland gewidmet und bebaut. Ungeklärte "Vorfragen", die den Fristenlauf des §40 Abs8 StROG hindern würden, seien daher nicht ersichtlich.
Im Ergebnis dürfte es sich bei der Nichterlassung eines Bebauungsplanes binnen 18 Monaten ab dem Antrag vom 4. August 2020 um eine qualifizierte Untätigkeit der verordnungserlassenden Behörde im Sinne der Rechtsprechung des Verfassungsgerichtshofes handeln, die dazu führen dürfte, dass sich die Bebauungsplanpflicht im 4.0 Flächenwidmungsplan in Bezug auf das Grundstück der beteiligten Partei als Eigentumsbeschränkung darstelle, die nicht mehr von einem angemessenen Verhältnis der öffentlichen und privaten Interessen getragen sei. Der Gemeinderat der Landeshauptstadt Graz habe das Verfahren zur Erlassung eines Bebauungsplanes nicht binnen 18 Monaten abgeschlossen und auch bis zum heutigen Tag keinen Bebauungsplan erlassen. Somit bestehe seit mehr als vier Jahren ein effektives Bauverbot, das die verordnungserlassende Behörde nach Ansicht des Landesverwaltungsgerichts Steiermark durch Erlassung eines Bebauungsplanes hätte beseitigen müssen.
7. Der Gemeinderat der Landeshauptstadt Graz hat die angeforderten Akten nicht vorgelegt und auch keine Äußerung erstattet. Das Stadtplanungsamt hat – der Sache nach offenbar namens des Gemeinderates – eine Äußerung erstattet, auf die, da ihr kein Beschluss des Gemeinderates als der Behörde, die die Verordnung erlassen hat (§58 Abs2 VfGG), zugrunde liegt, nicht eingegangen werden kann (vgl dazu etwa VfSlg 14.084/1995 mwN).
8. Die Steiermärkische Landesregierung hat ebenfalls keine Äußerung erstattet.
IV. Erwägungen
1. Zur Zulässigkeit des Antrages
1.1. Der Verfassungsgerichtshof ist nicht berechtigt, durch seine Präjudizialitätsentscheidung das antragstellende Gericht an eine bestimmte Rechtsauslegung zu binden, weil er damit indirekt der Entscheidung dieses Gerichtes in der Hauptsache vorgreifen würde. Gemäß der ständigen Rechtsprechung des Verfassungsgerichtshofes darf daher ein Antrag iSd Art139 Abs1 Z1 B‑VG bzw des Art140 Abs1 Z1 lita B‑VG nur dann wegen Fehlens der Präjudizialität zurückgewiesen werden, wenn es offenkundig unrichtig (denkunmöglich) ist, dass die – angefochtene – generelle Norm eine Voraussetzung der Entscheidung des antragstellenden Gerichtes im Anlassfall bildet (vgl etwa VfSlg 10.640/1985, 12.189/1989, 15.237/1998, 16.245/2001 und 16.927/2003).
1.2. Wie das antragstellende Gericht darlegt, stützt sich die belangte Behörde in ihrer Begründung des von der beteiligten Partei angefochtenen Bescheides ausdrücklich auf die in §4 iVm Deckplan 1 (Bebauungsplanzonierungsplan) des 4.0 Flächenwidmungsplanes der Landeshauptstadt Graz festgelegte Bebauungsplanpflicht. Die vom Landesverwaltungsgericht Steiermark vertretene Ansicht, dass es die angefochtenen Bestimmungen auf Grund der fristgerechten und auch sonst zulässigen Beschwerde im verwaltungsgerichtlichen Verfahren anzuwenden hätte, erscheint vor diesem Hintergrund nicht denkunmöglich.
1.3. Da auch sonst keine Prozesshindernisse hervorgekommen sind, erweist sich der Antrag als zulässig.
2. In der Sache
2.1. Der Verfassungsgerichtshof hat sich in einem auf Antrag eingeleiteten Verfahren zur Prüfung der Gesetzmäßigkeit einer Verordnung gemäß Art139 B‑VG auf die Erörterung der geltend gemachten Bedenken zu beschränken (vgl VfSlg 11.580/1987, 14.044/1995, 16.674/2002). Er hat sohin ausschließlich zu beurteilen, ob die angefochtene Verordnung aus den im Antrag dargelegten Gründen gesetzwidrig ist (VfSlg 15.644/1999, 17.222/2004).
2.2. Der Antrag ist begründet.
2.3. Wie der Verfassungsgerichtshof in VfSlg 17.604/2005 ausgeführt hat, kann ein Gesetz verfassungswidrig sein, wenn seine Verfassungsmäßigkeit von der Erlassung einer Verordnung abhängt, der Verordnungsgeber jedoch in der Folge untätig bleibt. Angesichts eines gesetzlich angeordneten Ausschlusses der Erteilung einer Baubewilligung, die nur dann möglich sein sollte, wenn entsprechende Bebauungspläne erlassen würden, sprach der Verfassungsgerichtshof aus, dass das so effektiv bewirkte Bauverbot eine Eigentumsbeschränkung darstellt, für deren Zulässigkeit der Europäische Gerichtshof für Menschenrechte ua im Urteil vom 23. September 1982, 7151/75, 7152/75, Sporrong und Lönnroth, EuGRZ1983, S 523 ff., ein angemessenes Verhältnis zwischen den öffentlichen Interessen an der Eigentumsbeschränkung und dem privaten Interesse am Schutz des Eigentumes verlangt hat. Ein solches angemessenes Verhältnis im Sinne des Art1 1. ZPEMRK liegt nicht mehr vor, wenn in einem unangemessen langen Zeitraum trotz Vorliegens der Voraussetzungen keine Bebauungsplanung vorgenommen wird und dies auch nicht in einem absehbaren Zeitraum der Fall sein wird. Das Verbot der Erteilung der Baubewilligung für Bauland, das seit Jahrzehnten als solches gewidmet war und für das (auf Grund der in jenem Fall geltenden Rechtslage) zwar ein allgemeiner Bebauungsplan, jedoch nicht der notwendige ergänzende Bebauungsplan erlassen worden und dessen Erlassung innerhalb eines absehbaren Zeitraumes auch nicht sichergestellt war, ist – so der Verfassungsgerichtshof – unverhältnismäßig und verstößt gegen das gebotene angemessene Verhältnis zwischen den öffentlichen Interessen an der Eigentumsbeschränkung und dem privaten Interesse am Schutz des Eigentumes.
2.4. Nach der Rechtsprechung des Verfassungsgerichtshofes lassen sich diese Überlegungen auf das Verhältnis von Flächenwidmungsplan und Bebauungsplan übertragen. Sieht der Verordnungsgeber im Flächenwidmungsplan die Erlassung eines Bebauungsplanes verpflichtend vor, so bewirkt er damit, solange er keinen Bebauungsplan erlässt, ein effektives Bauverbot auf dem betreffenden Grundstück (vgl VfSlg 20.527/2022 sowie jüngst VfGH 3.9.2024, V51/2024 mwN).
2.5. §4 iVm Deckplan 1 (Bebauungsplanzonierungsplan) des 4.0 Flächenwidmungsplanes fordert für die Erteilung einer Baubewilligung das Bestehen eines rechtswirksamen Bebauungsplanes. Mit dem Flächenwidmungsplan 4.04 wurde die Aufnahme des Grundstückes in Deckplan 1 (Bebauungsplanzonierungsplan) des 4.0 Flächenwidmungsplanes der Landeshauptstadt Graz verfügt. Der Landesgesetzgeber sieht vor, dass die jeweilige Gemeinde spätestens im "Anlassfall", insbesondere im Falle eines "Ansuchens um Erstellung des Bebauungsplanes nach erfolgter Abklärung aller Vorfragen", Bebauungspläne zu erstellen, Verfahren zur Erstellung oder Änderung der Bebauungspläne unverzüglich nach Eintreten des "Anlassfalles" einzuleiten und spätestens innerhalb von 18 Monaten abzuschließen hat (§40 Abs8 StROG).
2.6. Der Verfassungsgerichtshof hat beginnend mit VfSlg 19.930/2014 klargestellt, dass "spätestens zu dem Anlass einer Bebauung" das Verfahren zur Erlassung eines Bebauungsplanes einzuleiten und ein Bebauungsplan zu erlassen ist. Dabei wurde in VfSlg 20.527/2022 festgestellt, dass ein entsprechendes Verfahren mit der Erlassung eines Bebauungsplanes und nicht mit dessen Verweigerung zu enden hat, wobei das Abschließen des Verfahrens zur Bebauungsplanerstellung in der Kundmachung des Bebauungsplanes besteht. Aus §40 Abs1 und 8 StROG ergibt sich demnach, dass die Erstellung eines Bebauungsplanes nicht im Ermessen der verordnungserlassenden Behörde liegt, sondern sie dazu verpflichtet ist, die Bebauungsplanung innerhalb einer bestimmten Frist vorzunehmen (vgl dazu VfGH 13.12.2024, G151/2024, V83/2024).
2.7. §40 Abs8 StROG führt als Beispiel für einen "Anlassfall" ein an die Gemeinde gerichtetes Ersuchen an, einen Bebauungsplan zu erlassen. Ein solches Ersuchen kann etwa auch durch einen Antrag auf Erteilung einer Baubewilligung (vgl dazu jüngst die Erkenntnisse des VfGH vom 3.10.2024 zu V51/2024 und V57/2024), in Form eines Antrages auf Festlegung der Bebauungsgrundlagen (vgl dazu bereits VfSlg 20.527/2022) sowie – im Sinne der demonstrativen Nennung eines "Anlassfalles" im Klammerausdruck des §40 Abs8 StROG – in Form eines schriftlichen Ansuchens um Erlassung eines Bebauungsplanes an die Gemeinde gerichtet werden (vgl jüngst VfGH 11.6.2024, V26/2024, in dem der Verfassungsgerichtshof ein an den Leiter des Stadtplanungsamtes der Landeshauptstadt Graz gerichtetes schriftliches Ansuchen als fristauslösendes Ereignis iSd Bestimmung angesehen hat).
2.8. Im Anlassverfahren hat die beteiligte Partei durch ihr wiederholtes Herantreten an die Gemeinde den Wunsch zum Ausdruck gebracht, ihr Grundstück zu bebauen (vgl zu einer rechtsschutzfreundlichen Deutung eines mehrfachen Herantretens an die Gemeinde als ein auf die Änderung der den Antragsteller betreffenden Widmung gerichtetes Begehren VfSlg 11.849/1988). Am 4. August 2020, somit während der Auflage des Entwurfes des 4.04 Flächenwidmungsplanes, der eine Änderung des Deckplanes 1 (Bebauungsplanzonierungsplan) dahingehend vorsah, dass das Grundstück der beteiligten Partei nunmehr im bebauungsplanpflichtigen Gebiet gelegen sein sollte, stellte die beteiligte Partei das an den Leiter des Stadtplanungsamtes der Landeshauptstadt Graz gerichtete Ansuchen, einen Bebauungsplan für das Grundstück Nr .52/1, EZ123, KG 63124 Waltendorf, zu erlassen. Am 3. Dezember 2020 legte die beteiligte Partei einen Grundplan vor, den sie nach Rücksprache mit dem Stadtplanungsamt der Landeshauptstadt Graz überarbeitete und am 12. Dezember 2020 erneut in Vorlage brachte. Die Änderung des Flächenwidmungsplanes, mit der die Baubewilligungspflicht für das betreffende Grundstück normiert wurde, trat am 30. September 2021 in Kraft. Zuletzt stellte die beteiligte Partei am 28. Juni 2024 einen Antrag auf Festlegung der Bebauungsgrundlagen gemäß §18 Stmk BauG.
2.9. Da die beteiligte Partei ihre Bauabsicht in zeitlicher Nähe zur Festlegung der Bebauungsplanpflicht bereits hinreichend nachgewiesen hatte, begann die 18‑monatige Frist am 30. September 2021, also mit dem Zeitpunkt des Inkrafttretens der Änderung des Flächenwidmungsplanes, mit der die Bebauungsplanpflicht vorgesehen wurde, zu laufen. Offene Sachverhaltsfragen iSd §40 Abs8 StROG, welche den Eintritt des "Anlassfalles" hintangehalten hätten bzw hintanhalten würden, sind nicht ersichtlich.
2.10. Folglich besteht für die beteiligte Partei ein effektives Bauverbot, das die verordnungserlassende Behörde durch Erlassung eines Bebauungsplanes hätte beseitigen müssen. Der Gemeinderat der Landeshauptstadt Graz hat bisher jedoch keinen Bebauungsplan erlassen. Im Ergebnis führt dies dazu, dass sich die Bebauungsplanpflicht in §4 iVm Deckplan 1 (Bebauungsplanzonierungsplan) des 4.0 Flächenwidmungsplanes idF des 4.04 Flächenwidmungsplanes der Landeshauptstadt Graz, Amtsblatt der Landeshauptstadt Graz Nr 08/2021, in Bezug auf das Grundstück der beteiligten Partei im Einzelfall als Eigentumsbeschränkung darstellt, die nicht mehr von einem angemessenen Verhältnis der öffentlichen und privaten Interessen getragen ist. Sie ist damit gesetzwidrig.
V. Ergebnis
1. §4 iVm Deckplan 1 (Bebauungsplanzonierungsplan) des 4.0 Flächenwidmungsplanes idF des 4.04 Flächenwidmungsplanes der Landeshauptstadt Graz, Amtsblatt der Landeshauptstadt Graz Nr 08/2021, ist daher, soweit damit für das Grundstück Nr .52/1, EZ123, KG 63124 Waltendorf, die Erforderlichkeit einer Bebauungsplanung vorgesehen wird, als gesetzwidrig aufzuheben.
2. Die Verpflichtung der Steiermärkischen Landesregierung zur unverzüglichen Kundmachung dieses Ausspruches erfließt aus Art139 Abs5 erster Satz B‑VG und §59 Abs2 VfGG iVm §2 Abs1 Z7 Steiermärkisches Kundmachungsgesetz, LGBl 25/1999, idF LGBl 84/2022.
3. Diese Entscheidung konnte gemäß §19 Abs4 VfGG ohne mündliche Verhandlung in nichtöffentlicher Sitzung getroffen werden.
Lizenziert vom RIS (ris.bka.gv.at - CC BY 4.0 DEED)
