vorheriges Dokument
nächstes Dokument

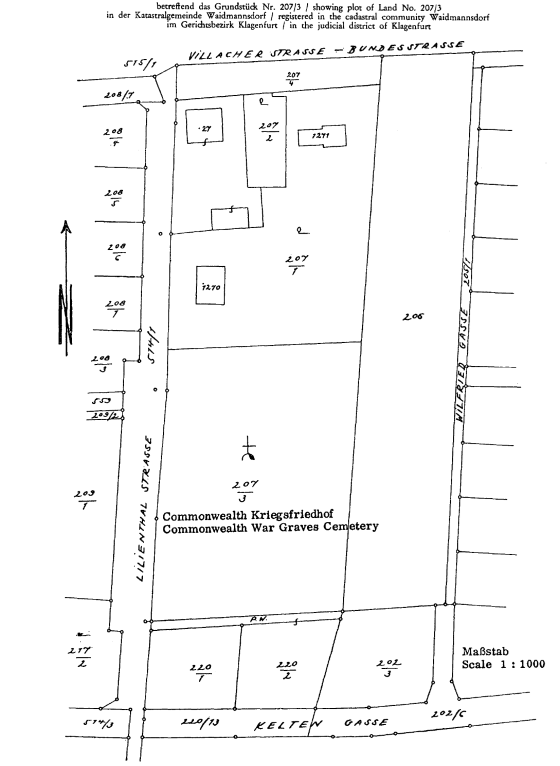
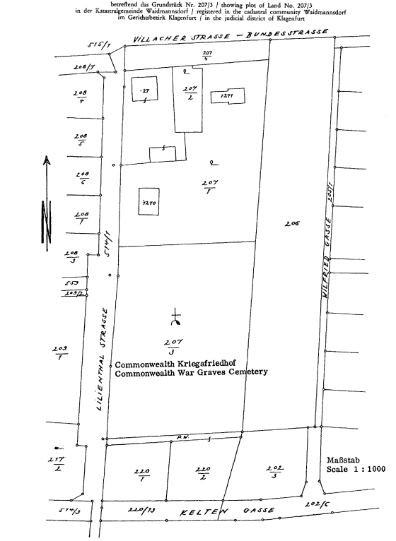
Anlage1 Commonwealth Kriegsfriedhof in Klagenfurt (Indien)

Aktuelle FassungIn Kraft seit 17.8.1968

Lageplan

Anlage1

Zusatzdokumente: image001

Lizenziert vom RIS (ris.bka.gv.at - CC BY 4.0 DEED)