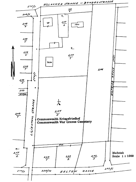
Lageplan
Anlage1
betreffend das Grundstück Nr. 207/3 in der Katastralgemeinde Waidmannsdorf im Gerichtsbezirk Klagenfurt
Zusatzdokumente: image001
Lizenziert vom RIS (ris.bka.gv.at - CC BY 4.0 DEED)
Lageplan
Anlage1
betreffend das Grundstück Nr. 207/3 in der Katastralgemeinde Waidmannsdorf im Gerichtsbezirk Klagenfurt
Zusatzdokumente: image001
Lizenziert vom RIS (ris.bka.gv.at - CC BY 4.0 DEED)